Evidence údajů pro Intrastat na kartě Zboží
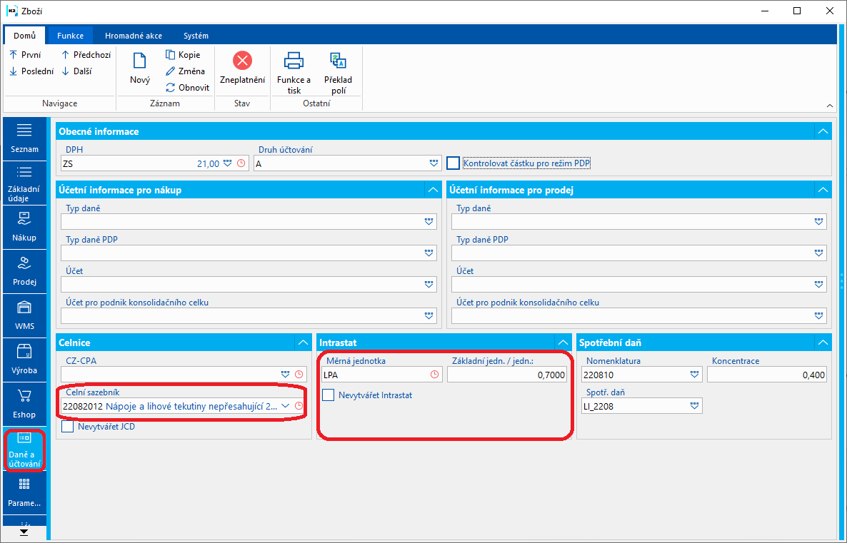
Na záložce Daně a účtování karty Zboží se nacházejí informace, jejichž korektní nastavení je nezbytné pro vytvoření dokladu Intrastat.
Je nutné mít vyplněné pole Celní sazebník. Musí zde být 8 až 10 místné číslo odpovídající příslušnému zboží. Pokud nebude pole vyplněno, pak lze celní sazebník pro tuto kartu zboží nastavit až na položce prodeje/nákupu na záložce Intrastat. Vyplňování pole celního sazebníku až na položce prodeje/nákupu
Je nutné mít vyplněnou měrnou jednotku pro Intrastat a je nutné mít vyplněné pole Zákl. jedn. / jedn., které definuje poměr mezi základní měrnou jednotkou zboží a měrnou jednotkou, ve které je zboží do Intrastatu vykazované.
Pokud se dané zboží nemá v Intrastatu vykazovat, pak lze zatrhnout příznak Nevytvářet Intrastat.

Obr.: Karta zboží - informace pro intrastat
Upozornění: Nevyplnění pole Celního sazebníku a měrné jednotky Intrastatu (pole M. j. intrastatu), pak způsobí zobrazení chybového protokolu při vytváření dokladu Intrastatu. Pokud zůstane hodnota 0 v poli Zákl. jedn. / jedn., pak se při vytváření dokladu Intrastatu zobrazí chybový protokol s upozorněním na tuto skutečnost. Pokud se již chybové protokoly zobrazí, existuje možnost vytvořit kontejner zboží s kartami zboží z chybového protokolu stisknutím akce Vytvořit kontejner zboží z ribbonu a uživatel pak může dané karty Zboží upravit a vytvořit nebo aktualizovat doklad znovu. Pokud chce uživatel zobrazit jen jednu kartu zboží, pak lze stisknout akci Zboží a zobrazí se karta zboží, na kterém se právě nachází pravítko.
Pozn.: Obdobně fungují i akce Doklad a Vytvořit kontejner dokladů. V těchto příapdech se zobrazí buď příšlušný doklad nebo kontejner těchto dokladů.

Obr.: Chybový protokol při vytvoření dokladu Intrastatu